lô đẹp đông lai - full thổ cư - vị trí gđẹp gần trục chính - gần
Địa chỉ: Đồng Lai, Quang Tiến, Sóc Sơn, Hà Nội
Vui lòng liên hệ: Chính Chủ 0386.350.945
Tìm kiếm theo từ khóa
- 3 Tỷ 250 Tr
96 m2-
Quang Tiến, Sóc Sơn, Hà Nội
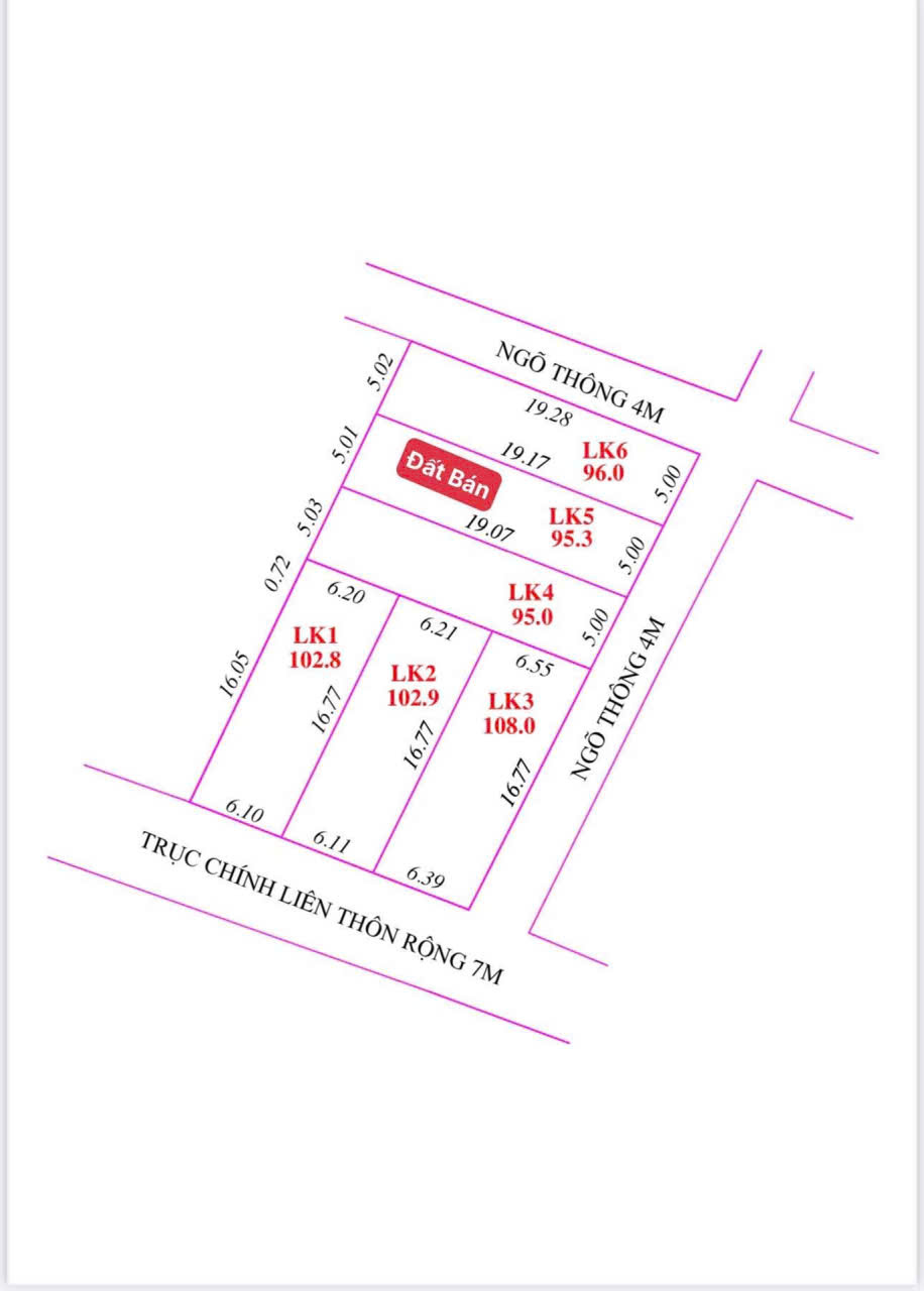
LÔ ĐẸP ĐÔNG LAI – FULL THỔ CƯ – GẦN TRỤC CHÍNH – GIÁ ĐẦU TƯ Vị trí: Đông Lai – Quang Tiến – Sóc Sơn - Cách trục chính chỉ ~20m, đường ô tô rộng 7m, đi lại cực thuận tiện - Thông tin chi tiết: Diện tích: 95.3m² Mặt tiền: 5m vuông đẹp, dễ xây dựng + Khu dân cư đông, ở thực hoặc đầu tư đều hợp lý + Gần trường học, khu đấu giá, tiện ích đầy đủ + Cách trung tâm Sóc Sơn ~3.5km + Gần KCN Nội Bài – tiềm năng tăng giá mạnh - Sổ đỏ cất két – sang tên nhanh gọn Liên hệ ngay: 0386.350.945 (Minh)
- 3 Tỷ 250 Tr
96 m2-
Quang Tiến, Sóc Sơn, Hà Nội
LÔ ĐẸP ĐÔNG LAI – FULL THỔ CƯ – GẦN TRỤC CHÍNH – GIÁ ĐẦU TƯ * Vị trí: Đông Lai – Quang Tiến – Sóc Sơn - Cách trục chính chỉ ~20m, đường ô tô rộng 7m, đi lại cực thuận tiện - Thông tin chi tiết: Diện tích: 95.3m² Mặt tiền: 5m vuông đẹp, dễ xây dựng + Khu dân cư đông, ở thực hoặc đầu tư đều hợp lý + Gần trường học, khu đấu giá, tiện ích đầy đủ + Cách trung tâm Sóc Sơn ~3.5km + Gần KCN Nội Bài – tiềm năng tăng giá mạnh - Sổ đỏ cất két – sang tên nhanh gọn * Liên hệ ngay: 0386.350.945 (Minh)
- 1 Tỷ 420 Tr
79 m2-
Hồng Kỳ, Sóc Sơn, Hà Nội
Cần Bán 79.9m2 tại Gò Sỏi - Hồng Kỳ - Sóc Sơn - HN. Giá chỉ 1ti4xxtr, Đường oto - Mặt tiền 4.2m. Đất vuông vắn. - Đường khoảng 3.5m, ô tô vào đất thoải mái. - Dân cư sống đông đúc, đời sống cao, phù hợp đầu tư lẫn để ở. - Xung quanh bán kính 1km có trường học C1, C2, ủy ban nhân dân xã,.. - Chỉ 5 phút di chuyển về trung tâm hành chính huyện Sóc Sơn. - Không khí trong lành, thoáng mát. Tiện ích đầy đủ không thiếu thứ gì. - Khu vực vị trí đẹp, giá cả đầu tư được.
- 2 Tỷ 350 Tr
69 m2-
Phù Linh, Sóc Sơn, Hà Nội
Pán 69.3m² tại Vệ Linh, Phù Linh, Sóc Sơn. Đường 4m thông, cách trục chính 10m, sẵn sổ.- Mặt tiền 4.5m nở hậu đẹp. (Pháp lí sạch).- Cách 10m ra trục chính 2 oto tránh. Ngõ thông.- Đường trước đất 4m oto đi lại thoải mái.- Cách đường đền gióng 100m.- Cách sân golf Legend Club chỉ 600m.- Cách quốc lộ và trung tâm hành chính huyện chỉ 10 phút di chuyển.- Xung quanh dân cư đông đúc, tiện ích đầy đủ. Đáp ứng mọi yêu cầu.
- 1 Tỷ 900 Tr
50 m2-
Hiền Ninh, Sóc Sơn, Hà Nội
(Siêu hiếm) Bán 50m² tại Tân An- Hiền Ninh- Sóc Sơn- Hn. Đường Bìa Làng 6m ngõ thông. Nhỉnh tỉ- Đường trước đất oto tránh, ngõ thông- Mặt tiền4m. Đất vuông vắn đẹp- Cách nhà văn hóa, chợ 100m. Dân cư đông đúc.- Cách UBND xã trường học các cấp 200m.- Cách trường trung cấp kinh tế Phan Chu Trinh 100m.- Cách Tỉnh Lộ 131, đường Võ Nguyên Giáp, khu công nghiệp Nội Bài 300m.- Khu vực dân cư đông đúc sổ đỏ sẵn và phát triển.- Tiềm năng tăng giá cao, pháp lý chuẩn, sẵn sàng giao dịch.
- 26 Triệu
129 m2-
Phú Minh, Sóc Sơn, Hà Nội
Đất nền Xã Nội Bài, Hà Nội - Huyện Sóc Sơn, Hà Nội cũ với nhiều tiện ích và giá tốt. + Diện tích: 129.6m2. + Giá: 26 triệu / m2. + Chiều rộng ngõ vào: 7m, thuận tiện cho xe ô tô đi lại. + Pháp lý đầy đủ, tạo sự yên tâm cho khách hàng. Tiện ích xung quanh: Gần Winmart, đáp ứng nhu cầu mua sắm hàng ngày. Vị trí đất đẹp, phân lô, ô tô đỗ cửa, trước nhà ô tô tránh, gần mặt đường, khu dân cư đông đúc, giá trị tiềm năng tương lại tăng cao. Khách mua đầu tư giữ tiền siêu hợp lý. Liên hệ: 0828 935 494
- 1 Tỷ 700 Tr
80 m2-
Tân Minh, Sóc Sơn, Hà Nội
80m² SƠN ĐOÀI – GIÁ RẺ HIẾM CÓ, Ô TÔ ĐỖ CỬA! Full thổ cư – pháp lý sạch Đường thông – ô tô vào tận đất Giá đang thấp hơn mặt bằng – dư địa tăng rõ ràng Khu dân cư đông – thanh khoản nhanh Giữ tiền cực tốt, lướt hay dài hạn đều ổn Hàng ngon – giá rẻ không đứng lâu! Chậm 1 nhịp là người khác chốt!
- 31/03/2026
- Lưu tin
- 2 Tỷ 686 Tr
96 m2-
Hiền Ninh, Sóc Sơn, Hà Nội
Bạn đang tìm 1 mảnh đất vừa đẹp – vừa hiếm – vừa dễ mua? Đây chính là cơ hội không đến lần 2! Tân Lương – Nội Bài – Sóc Sơn 96m² – FULL THỔ CƯ 100% Điểm khiến ai xem cũng “chốt”: • Lô góc 2 mặt tiền – thoáng vĩnh viễn, xây nhà cực đỉnh • Đường thông ô tô đỗ cửa, đi lại quá tiện • Khu dân cư hiện hữu, không lo hoang vắng • Đầu tư hay ở đều “ăn tiền” Giá chỉ 2x – nghe là thấy “mềm” hơn thị trường rồi!
- 31/03/2026
- Lưu tin
- 7 Tỷ 600 Tr
370 m2-
Minh Phú, Sóc Sơn, Hà Nội
Đất Thanh Trí, 370m2, mt17m, 7.6 tỷ, Kim Anh (Sóc Sơn), ô tô quay đầu. Ngõ nông, cực nông, ngay gần chợ Thanh Trí. Xe 7 chỗ quay đầu tại đất. Chỉ 10m ra trục chính, giao thông thông suốt. Mặt tiền lớn, phù hợp nhà vườn, biệt thự. Sổ sách pháp lý trong tay chỉ chờ ngày đổi chủ Cần xem đất để vào việc gọi e Hồng 0976395647_ 0775693683
- Nguyễn Minh Hồng
- 28/03/2026
- Lưu tin
- 3 Tỷ
76 m2-
Mai Đình, Sóc Sơn, Hà Nội
MAI ĐÌNH -76M - CHỈ NHỈNH 3ty - SÁT KCN NỘI BÀI - Ô TÔ TRÁNH - GẦN TRƯỜNG HỌC CÁC CẤP Mt : 6.3m Diện tích : 76m Gần kcn 1-2-3 Nội Bài đã đang hoạt động và hoàn thành là kcn 1-2 . Rất phù hợp cho những công nhân đang muốn làm việc và đang làm việc tại khu này. Di chuyển sân bay Nội Bài chỉ 5p Di chuyển nội thành Hà Nội chỉ 10-15p Gần chợ thuận tiện cho việc nội trợ của các ce Liên hệ : 0971413994
- 2 Tỷ
102 m2-
Tân Minh, Sóc Sơn, Hà Nội
102m² SƠN ĐOÀI – SÓC SƠN FULL THỔ CƯ ĐƯỜNG 5M – GIÁ CHỈ 2 TỶ Phù hợp: Xây nhà ở lâu dài Đầu tư giữ tiền – sinh lời ổn định Mua tích sản thời điểm này quá hợp lý Giá chỉ 2 tỷ – quá mềm cho một lô đất đẹp, pháp lý rõ ràng Liên hệ ngay: 0976 677 492 Chốt nhanh kẻo lỡ – đất đẹp không đợi người chậm!
- 25/03/2026
- Lưu tin
- 1 Tỷ 760 Tr
52 m2-
Quang Tiến, Sóc Sơn, Hà Nội
BẮC THƯỢNG – NỘI BÀI Giá nghe xong tưởng đùa… ai ngờ thật Đất đẹp – vị trí ngon – mà giá còn lâu mới chạm mốc 2 tỷ Tầm tiền này giờ kiếm đâu ra miếng vừa xinh vừa tiềm năng như này? Mua để ở: yên tĩnh, thoáng, tương lai sáng Mua để đầu tư: giữ tiền chắc – chờ thời là bật giá Nói nhanh cho vuông: Chưa tới 2 tỷ mà còn chần chừ là có người khác chốt hộ đấy! Bắc Thượng – Quang Tiến (cũ) – hàng hiếm không chờ người chậm tay!
- 24/03/2026
- Lưu tin
- 1 Tỷ 650 Tr
96 m2-
Tân Minh, Sóc Sơn, Hà Nội
Chỉ 16xxtr sở hữu ngay 96m2 tại Xuân Đồng-Tân Minh-Sóc Sơn. Ngõ thông,full thổ cư - Mặt tiền 5.47m nở hậu 5.77m - Đường trước đất thông rộng 3m oto vào đất - Vị trí đất Sát Dự Án trường đua ngựa chuẩn bị Hình Thành 200-300 m - Cách Ql3 di chuyển 400m, Thị trấn huyện 2 Km - Khu tập trung đông dân. Hàng xóm thân thiện - Giao thông thuận tiện. An Ninh tốt - Lô đất khuôn thửa Phù hợp tiêu chí cho nhà đầu tư hoặc mua xây nhà An cư lập nghiệp
- 1 Tỷ 900 Tr
80 m2-
Tiên Dược, Sóc Sơn, Hà Nội
Chỉ 1xx tỷ có 80m² tại Đồng Lạc - Tiên Dược - Sóc Sơn. Giá rẻ nhất khu vực.- Mặt tiền 5.8m nở hậu tuyệt đẹp (full thổ cư).- Đường ô tô đỗ cửa thoải mái.- Vị trí đẹp khu vực dân cực đông đúc. Cách trường nhựa liên xã 50m.- 200m ra Quốc lộ 3, UBND Xã trường học các cấp, Bệnh viện đa khoa Sóc Sơn, trường cao đẳng ANND..- Cách trung tâm thị trấn Sóc Sơn 1km. Cách đường Võ Nguyên Giáp, khu công nghiệp Nội Bài 2km.- Nằm trong khu đô thị vệ tinh với nhiều tiềm năng. Giá chỉ có lên không có xuống.
- 1 Tỷ 250 Tr
55 m2-
Tân Minh, Sóc Sơn, Hà Nội
Làm gì còn giá này 54.6m2 tại Xuân Đồng - Tân Minh - Sóc Sơn. Đường4m. Lô góc. Chỉ 1.2xxti - Mặt tiền 6.32m nở hậu tuyệt đẹp. Lô Góc - Đường 4m, ô tô vào đất. - Sổ đỏ chính chủ, pháp lý sạch sẽ, đất không tranh chấp, có thể giao dịch ngay. - Đường trục chính 6m, thông thoáng, ô tô tránh nhau thoải mái. + Gần với siêu dự án trường đua ngựa tại Tân Minh. + Gần với trường đại học Điện Lực cơ sở 2. + Dân cư đông đúc đời sống cao.
- 2 Tỷ 900 Tr
83 m2-
Phú Cường, Sóc Sơn, Hà Nội
Pán nhanh 83m2 tại Thuỵ Hương-Phú Cường- Sóc Sơn. Mặt tiền hơn 7m - Khu Vực Không Có Đất Bán, Không Dính Quy hoạch Sân Bay - Đường Rộng 4m , Đất Đi Được Mọi Hướng - Gần Trường Học, Sân Bay, Nhà ở Bộ công An - Đường Đi Cao Tốc, Cầu Nhật Tân, Cầu Thăng Long, Cực Thuận Tiện - Giá Cực Hấp Dẫn Cho AE Để Đầu Tư
- 3 Tỷ 200 Tr
115 m2-
Minh Phú, Sóc Sơn, Hà Nội
Chủ nhờ bán đất 115m2, mt7m, lô góc 3.2 tỷ, Thanh Trí, Sóc Sơn. Ô tô + Ngõ xe tải, thông ô tô. + 100m ra chợ Thanh Trí. + Vị trí lô góc, 2 mặt tiền. + View hướng Bờ Kênh, Quy hoạch sau mở đường chợ, đất càng gần mặt phố. + Sổ sách, pháp lý chuẩn, an toàn... + Liên hệ e Hồng gặp chủ 0976395647_ 0775693683
- Nguyễn Minh Hồng
- 17/03/2026
- Lưu tin
- 2 Tỷ
100 m2-
Minh Phú, Sóc Sơn, Hà Nội
Chủ cần bán nhanh lô đất 100m thôn Phú Thịnh, Minh Phú, Sóc Sơn, Hà Nội. Đất nằm trong khu phân lô, đường trải nhựa rộng, thông thoáng, ô tô tránh nhau. Xung quanh có nhiều dịch vụ kinh doanh nghỉ dưỡng villa homestay cao cấp, không khí trong lành, yên bình, an cư lí tưởng. Cách đường quốc lộ 35 và khu du lịch Việt Phủ Thành Chương chỉ vài phút lái xe. Sổ đỏ đầy đủ, pháp lí chuẩn, sẵn sàng giao dịch sang tên.
- Hoàng Văn Tuyên
- 11/03/2026
- Lưu tin
- 2 Tỷ
100 m2-
Minh Phú, Sóc Sơn, Hà Nội
Chủ cần bán gấp lô đất thôn Phú Thịnh, Minh Phú, Sóc Sơn, Hà Nội. Đất phân lô, đường nhựa rộng mênh mông. Gần đường liên xã, đi lại thuận tiện. Khu vực có nhiều dịch vụ kinh doanh villa homestay. Đất vuông vắn, mặt tiền rộng, full thổ cư. Đất mới phân lô, cơ hội đầu tư X nhiều lần tài sản trong tương lai.
- Hoàng Văn Tuyên
- 11/03/2026
- Lưu tin
Lọc theo khoảng giá
Lọc theo diện tích
Nhà đất bán tại Hà Nội
-
Sóc Sơn (21)
-
Đông Anh (43)
-
Gia Lâm (34)
-
Thanh Trì (32)
-
Mê Linh (35)
-
Ba Vì (14)
-
Phúc Thọ (21)
-
Đan Phượng (33)
-
Hoài Đức (40)
-
Quốc Oai (44)
-
Thạch Thất (29)
-
Chương Mỹ (23)
-
Thanh Oai (18)
-
Thường Tín (5)
-
Phú Xuyên (8)
-
Ứng Hòa (8)
-
Mỹ Đức (3)
-
Ba Đình (161)
-
Hoàn Kiếm (13)
-
Tây Hồ (117)
-
Long Biên (318)
-
Cầu Giấy (90)
-
Đống Đa (109)
-
Hai Bà Trưng (122)
-
Hoàng Mai (167)
-
Thanh Xuân (76)
-
Nam Từ Liêm (57)
-
Bắc Từ Liêm (79)
-
Hà Đông (49)
-
Sơn Tây (143)

